Ένα φαινόμενο πιο διαδεδομένο στις άσπερμες ποικιλίες, η ανθόπτωση ή η αποβολή των ανθέων στα επιτραπέζια σταφύλια, μπορεί να επηρεάσει την απόδοση των φυτών και μπορεί να περιοριστεί μέσω συγκεκριμένων αγρονομικών τεχνικών.
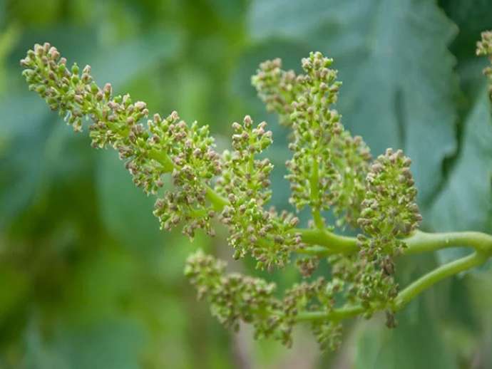
Μεταξύ των διαφόρων φαινολογικών φάσεων των επιτραπέζιων αμπέλων, η ανθοφορία αντιπροσωπεύει μια από τις πιο ευαίσθητες και καθοριστικές στιγμές για την παραγωγική επιτυχία. Σε αυτή τη φάση εμφανίζεται η ανθόπτωση , με αυξανόμενη συχνότητα, ειδικά σε ποικιλίες χωρίς κουκούτσια , ένα φαινόμενο γνωστό και με τον αγγλικό όρο shedding , το οποίο εκδηλώνεται με την πρόωρη πτώση των λουλουδιών ή των νεαρών σταφυλιών. Με την πρώτη ματιά, μπορεί να φαίνεται σαν μια ανωμαλία που πρέπει να διορθωθεί πάση θυσία, αλλά όπως συμβαίνει συχνά στη γεωργία, είναι σημαντικό να γίνει διάκριση μεταξύ του τι αποτελεί μέρος της φυσικής φυσιολογίας των φυτών και τι αντίθετα αντιπροσωπεύει ένα σημάδι ανισορροπίας.
Στο αμπέλι, μάλιστα, είναι απολύτως φυσιολογικό ένα μεταβλητό ποσοστό ανθέων – συνήθως μεταξύ 20% και 50% – να μην οδηγεί σε καρποφορία. Αυτός ο επιλεκτικός μηχανισμός επιτρέπει στο φυτό να επικεντρώσει τους πόρους του στα σταφύλια, τα οποία μπορεί να διατηρήσει μέχρι τη συγκομιδή, εξασφαλίζοντας έτσι παραγωγή υψηλότερης ποιότητας. Επομένως, μια ορισμένη ποσότητα στάλαξης δεν είναι μόνο αναπόφευκτη, αλλά και χρήσιμη , καθώς συμβάλλει στο σχηματισμό καλά αεριζόμενων τσαμπιών, με πιο ανεπτυγμένα σταφύλια που είναι λιγότερο επιρρεπή σε σήψη. Το πρόβλημα προκύπτει όταν αυτή η διαδικασία υπερβαίνει τα φυσιολογικά όρια, μετατρέποντας σε πραγματική απώλεια παραγωγής.
Τι είναι η άνθιση των λουλουδιών και πότε συμβαίνει;
Η ανθοφορία είναι μια διαδικασία που μπορεί να επηρεάσει τα επιτραπέζια σταφύλια σε δύο ξεχωριστές στιγμές του κύκλου παραγωγής τους:
κατά την προ-ανθοφορία , με την πτώση των μη γονιμοποιημένων λουλουδιών.
στη φάση αμέσως μετά την καρπόδεση , όταν πέφτουν τα μικρά, νεοσχηματισμένα σταφύλια.
Και στις δύο περιπτώσεις, πρόκειται για απώλεια αναπαραγωγικών οργάνων που δεν μπορούν να ολοκληρώσουν την ανάπτυξή τους, αλλά με διαφορετικές αιτίες και επιπτώσεις.
Στην πρώτη περίπτωση, η ωρίμανση εμφανίζεται αμέσως μετά την άνθιση , όταν η αποτυχία γονιμοποίησης του άνθους οδηγεί σε πρόωρη φθορά του . Αυτή η διαδικασία, φυσιολογικής φύσης, συμβαίνει συχνότερα παρουσία περιβαλλοντικών συνθηκών που είναι δυσμενείς για τη βιωσιμότητα της γύρης και τη στιγματική δεκτικότητα , όπως έντονες διακυμάνσεις της θερμοκρασίας, υπερβολική σχετική υγρασία ή συγκεκριμένες διατροφικές ελλείψεις. Η προ-ανθοφορική πτώση είναι ιδιαίτερα εμφανής σε γενετικά προδιατεθειμένες ποικιλίες – όπως η Victoria , η Palieri , η Superior Seedless ή η Arra 15 – οι οποίες, παρουσία βιοτικού ή αβιοτικού στρες, μπορούν να χάσουν ένα σημαντικό μέρος των νεοανοιχθέντων λουλουδιών.
Στη δεύτερη περίπτωση, το φαινόμενο αφορά τις προσκολλημένες ωοθήκες , οι οποίες υφίστανται πρώιμη γήρανση και επακόλουθη αποκόλληση κατά τα πρώτα στάδια ανάπτυξης. Σε αυτό το στάδιο, η αποβολή των μούρων μπορεί να προκληθεί από φυσιολογικές δυσλειτουργίες , όπως η αδυναμία του φυτού να υποστηρίξει το φορτίο καρπών λόγω εσωτερικών ανισορροπιών ή από εξωτερικούς παράγοντες όπως η υδατική καταπόνηση , οι οξείες αλλαγές θερμοκρασίας ή οι διατροφικοί περιορισμοί. Όταν το φαινόμενο είναι έντονο, παρατηρούνται αραιά τσαμπιά , με ανομοιόμορφα ή, στις πιο ακραίες περιπτώσεις, εντελώς αλλοιωμένα σταφύλια.
Αιτίες της πτώσης των λουλουδιών
Επομένως, η πτώση των ανθέων στα αμπέλια δεν μπορεί να αποδοθεί σε μία μόνο αιτία , αλλά πρέπει να ερμηνεύεται ως ένα πολυπαραγοντικό φαινόμενο , στο οποίο διαφορετικές μεταβλητές - φυσιολογικές, περιβαλλοντικές και πολιτισμικές - συνδυάζονται για να καθορίσουν την έκταση και το χρονοδιάγραμμα της απώλειας των ανθέων. Η αλληλεπίδραση μεταξύ αυτών των παραγόντων επηρεάζει το ποσοστό των ανθέων που είναι ικανά να παράγουν καρπούς, επηρεάζοντας τόσο την καρπόδεση όσο και τη σταθερότητα των σταφυλιών στις επόμενες φάσεις. Η κατανόηση αυτών των αιτιών είναι απαραίτητη για να μπορέσουμε να παρέμβουμε με στοχευμένο τρόπο και να αποτρέψουμε μια φυσιολογική εκδήλωση από το να γίνει αγρονομική κρισιμότητα.
1) Υπερβολική φυτική ζωντάνια
Ένας από τους κύριους προδιαθεσικούς παράγοντες για τη χαλάρωση είναι η υπερβολική ζωντάνια του φυτού , η οποία παρατηρείται συχνά σε γενετικά προδιατεθειμένες ποικιλίες όπως η Regal ή η Arra 15 . Αυτή η φυτική ανισορροπία είναι ιδιαίτερα εμφανής στους βλαστούς που αναπτύσσονται από τους περιφερικούς οφθαλμούς των καρποφόρων κλαδιών, οι οποίοι τείνουν να παράγουν αισθητικά άψογες τσαμπιές μέχρι την προ-ανθοφορία, αλλά στη συνέχεια υφίστανται μια αξιοσημείωτη απώλεια ανθέων.
2) Διατροφικές ανισορροπίες
Η διαχείριση της διατροφής παίζει επίσης κεντρικό ρόλο. Οι ελλείψεις μικροστοιχείων όπως το βόριο, ο ψευδάργυρος και το μολυβδαίνιο μπορούν να επηρεάσουν αρνητικά τη βιωσιμότητα της γύρης, τον σχηματισμό γυρεοσωλήνων και τη σταθερότητα του μίσχου. Η υπερβολική χορήγηση αζώτου, ειδικά στα στάδια πριν από την ανθοφορία, μπορεί να επιδεινώσει την ανισορροπία βλάστησης-παραγωγικότητας, μειώνοντας την ευρωστία εις βάρος της καρπόδεσης.
3) Αλλαγές θερμοκρασίας και δυσμενείς καιρικές συνθήκες
Από περιβαλλοντική άποψη, οι αλλαγές στη θερμοκρασία την άνοιξη αποτελούν έναν παράγοντα που δεν πρέπει να υποτιμάται: οι απότομες αλλαγές από ψυχρές σε υψηλές θερμοκρασίες, που συμπίπτουν με την άνθηση, μπορούν να επηρεάσουν τη διαδικασία γονιμοποίησης και να προκαλέσουν την αποκοπή των ανθέων. Επιπλέον, η έλλειψη νερού κατά τα στάδια πριν από την ανθοφορία και την καρπόδεση, ειδικά σε ζεστά και ξηρά περιβάλλοντα, μπορεί να περιορίσει την παροχή νερού και να αφομοιωθεί στο τσαμπί, προκαλώντας την πτώση των νεοφυών σταφυλιών.

Πώς να καταπολεμήσετε την ανθοπτώση
Η αντιμετώπιση του φαινομένου της ανθοπτώσεως απαιτεί μια διεπιστημονική και προληπτική προσέγγιση , στην οποία ενεργούμε ταυτόχρονα σε πολλαπλά επίπεδα: διαχείριση της ευρωστίας, ισορροπημένη διατροφή, περιορισμός του στρες και χρήση στοχευμένων αγρονομικών τεχνικών. Δεν υπάρχουν καθολικές λύσεις, αλλά μάλλον ένα σύνολο πρακτικών που μπορούν να προσαρμοστούν στην ποικιλία, το εδαφικό και κλιματικό πλαίσιο και την βλαστική κατάσταση του αμπελώνα.
Ένας από τους πρώτους μοχλούς που πρέπει να ληφθούν υπόψη είναι ο περιορισμός της υπερβολικής ζωντάνιας, η οποία συχνά ευθύνεται για την ανισορροπία μεταξύ των φυτικών και αναπαραγωγικών μερών. Το κλάδεμα των βλαστών , που πραγματοποιείται με κριτήρια που βασίζονται στην ισχύ της ποικιλίας και την πυκνότητα βλάστησης, επιτρέπει την ανακατεύθυνση των πόρων του φυτού προς την καρπόδεση. Σε ορισμένες περιπτώσεις, το κλάδεμα των τσαμπιών μπορεί επίσης να είναι χρήσιμο , ειδικά σε ποικιλίες που τείνουν να αναπτύσσουν υπερβολικά μακριές ή πολύπλοκες ταξιανθίες.
Η δακτυλιοειδής τομή του βλαστού είναι μια άλλη αγρονομική τεχνική που μπορεί να έχει θετικά αποτελέσματα στον περιορισμό της ανθοπτώσεως. Αυτή η τεχνική περιλαμβάνει την προσωρινή διακοπή της ροής των φλοιωμάτων, διεγείροντας μια μεγαλύτερη συσσώρευση αφομοιωμένων προϊόντων στο επίπεδο του τσαμπιού. Ωστόσο, η πρακτική πρέπει να είναι σωστά δοσολογημένη , καθώς η λανθασμένη τοποθέτηση ή η άκαιρη διαχείριση μπορεί να προκαλέσει ανεπιθύμητες αντιδράσεις, όπως η πρόωρη ξήρανση της σπονδυλικής στήλης.
Επιπλέον, ένα ορθολογικό σχέδιο λίπανσης είναι απαραίτητο για να διασφαλιστεί η σωστή αναπαραγωγική λειτουργία του φυτού . Συγκεκριμένα, είναι σημαντικό να αποφεύγεται η υπερβολική ποσότητα αζώτου, η οποία ευνοεί την βλαστική ευρωστία εις βάρος της καρπόδεσης, και να διασφαλίζεται η παροχή βασικών μικροστοιχείων όπως το βόριο, ο ψευδάργυρος και το μολυβδαίνιο , τα οποία εμπλέκονται στη γονιμότητα των ανθών και στη σταθερότητα του μίσχου.
Τέλος, καθοριστικό ρόλο μπορεί να διαδραματίσει η χρήση βιοδιεγερτικών με βάση φυτικά εκχυλίσματα, αμινοξέα ή χουμικές ενώσεις . Είναι μια αποτελεσματική επιλογή υποστήριξης για την αύξηση της ανθεκτικότητας του αμπελιού σε αβιοτικές καταπονήσεις , όπως η ξηρασία και οι αλλαγές θερμοκρασίας. Ορισμένα προϊόντα έχουν επιλεγεί ακριβώς για την ικανότητά τους να βελτιώνουν τον μεταβολισμό των λουλουδιών και να υποστηρίζουν τους μηχανισμούς καρπόδεσης ακόμη και σε ακραίες συνθήκες.
Συμπερασματικά, δεν υπάρχει καμία μεμονωμένη τεχνική ικανή να εξαλείψει πλήρως την ανθοπτία, ούτε είναι επιθυμητό να γίνει αυτό, δεδομένου ότι μια συγκεκριμένη φυσική επιλογή λουλουδιών είναι χρήσιμη για να εγγυηθεί την ποιότητα και το μέγεθος των σταφυλιών. Ωστόσο, μέσω προσεκτικής και ισορροπημένης διαχείρισης του αμπελώνα , βασισμένης σε συνεχή παρατήρηση και στοχευμένες αγρονομικές τεχνικές , είναι δυνατό να μειωθεί σημαντικά ο κίνδυνος αυτό το φυσιολογικό φαινόμενο να εκφυλιστεί σε απώλεια παραγωγής.
Donato Liberto
©uvadatavola.com




















